【大阪府泉南郡岬町】泉南郡岬町淡輪150坪工場
物件概要
最終更新日:2025年11月18日
- 用途
- 工場
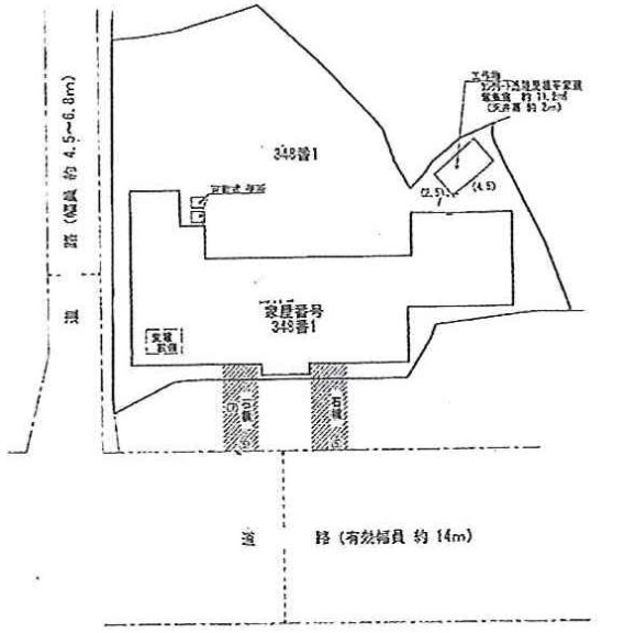
- 所在地
-
大阪府泉南郡岬町淡輪
GoogleMap - 交通
-
阪和自動車道 阪南より 約8.20km
南海本線 淡輪駅 <徒歩圏内>※交通の距離または徒歩圏内の情報は目安となります。
- 賃貸階数
- 1-2階
- 賃貸面積
- 約140 坪 (約480 ㎡)
- 月額賃料(税抜)
-
お問合せください
- 引き渡し時期
-
即入居
物件のポイント
- 駅徒歩圏
- 即入居可
- 空調
- 温度帯(冷凍冷蔵)
物件詳細
- 取引形態
- 媒介(他社)
- 建物面積
- 約140 坪 ( 約480 ㎡)
- 建物階数
- 2階建
- 築年月
- 1988年01月 (築37年)
- 都市計画区域/用途地域
- 第二種住居地域
- 敷金/保証金
- お問合せください
- 敷引/償却
- お問合せください
- 礼金
- お問合せください
- 備考
-
契約年数:2年
設備
―
―
―
―
―
冷蔵・冷凍
●
●
●
●
―
―
- 荷捌場
- -
- 天井高
- -
- 床荷重 (t/㎡)
- -
- 昇降設備
(種類/数×耐荷重kg) - -
- 駐車場
- 有り
