【大阪府寝屋川市】寝屋川市堀溝2丁目230坪倉庫
物件概要
最終更新日:2026年03月12日
- 用途
- 倉庫
- 所在地
-
大阪府寝屋川市堀溝
GoogleMap - 交通
-
第二京阪道路 寝屋川南より 約0.50km
京阪本線 萱島駅※交通の距離または徒歩圏内の情報は目安となります。
- 賃貸階数
- 1-2階
- 賃貸面積
-
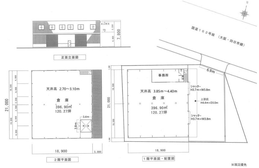
約230 坪 |約770 ㎡
- 月額賃料(税抜)
-
お問合せください
- 引き渡し時期
-
2026年9月 以降
物件のポイント
- IC5km以内
物件詳細
- 取引形態
- 媒介(他社)
- 建物面積
- 約230 坪 ( 約770 ㎡)
- 建物階数
- 2階建
- 築年月
- 1990年03月 (築36年)
- 都市計画区域/用途地域
- 準住居地域
- 敷金/保証金
- お問合せください
- 敷引/償却
- お問合せください
- 礼金
- お問合せください
- 備考
-
契約年数:3年
設備
●
●
―
―
―
―
―
●
―
―
―
―
- 荷捌場
- -
- 天井高
- 天高/ 1F:2.7m~3.1m, 2F:3.85m~4.4m
- 床荷重 (t/㎡)
- -
- 昇降設備
(種類/数×耐荷重kg) - -
- 駐車場
- 有り
